10月3日に河野さんが手漕ぎボートで出かけ60センチと45センチのマダイを上げました。河野さんは今回も70センチを超える大ダイをかけたそうですが針が開いてばらしたそうです。河野さんはこのところ来れば必ずマダイを上げていて今年はマダイの魚影が濃いと言っていました。5日には小針さんが息子さんと手漕ぎで出かけ68センチのワラサを上げました。小針さんによるとはじめサバフグの猛攻に会いそれが収まってやっとアジが釣れはじめそのアジを泳がせで使いワラサを上げたそうです。釣果の話ではないのですが時々上がり時間の3時までに戻らない人がいます。そのような場合当店では以後ボートの貸し出しは致しませんので必ず3時までにボートを返却してください。よろしくお願いします。

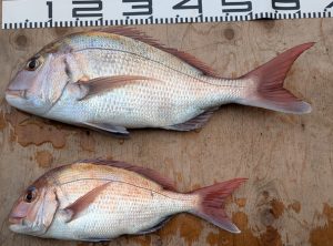
河野さんが釣った60センチと45センチのマダイです。

小針さんが釣った68センチのワラサ他です。